Tạp chí điện tử Sức khỏe Việt - Cơ quan ngôn luận của Hội Nam Y (Hội YDHCT) Việt Nam - Kết quả tìm kiếm cho từ khóa "
cây cò ke ", chúc bạn tìm được nội dung mong muốn trên https://suckhoeviet.org.vn/
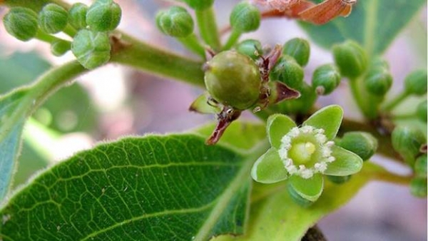
Cây cò ke: Công dụng, cách dùng trị bệnh theo y học cổ truyền
15:50 | 08/05/2025
Cây cò ke có nhiều tên gọi khác nhau, chẳng hạn như cây chua ke, cây đon sai, cây bung lai, cây mé, bố trà diệp,…có tính bình, vị chua chát. Rễ và lá cây cò ke có tác dụng thanh nhiệt và giải độc cơ thể, hỗ trợ điều trị các bệnh về tiêu hóa, đặc biệt là đầy bụng, ăn không tiêu. Vỏ thân cây và rễ cây cò ke phơi khô, nghiền bột, rắc vào vết thương để cầm máu và giúp vết thương mau lành.
Trước Sau
Hải Thượng Lãn Ông Lê Hữu Trác: Pho sử sống của Y đức và Khát vọng tự chủ Y học dân tộc
03-03-2026 22:00 Hoạt động hội
Trong tiết xuân của ngày rằm tháng Giêng năm Bính Ngọ, ngành Y tế Việt Nam lại cùng hướng về Y Miếu (Hà Nội) và mảnh đất Liêu Xá (Hưng Yên) để tưởng niệm 235 năm ngày mất của Đại danh y Hải Thượng Lãn Ông Lê Hữu Trác. Sự kiện không chỉ là nghi thức tâm linh, mà còn là dịp để nhìn lại giá trị xuyên thời đại của một hệ thống tư tưởng y học đồ sộ.
Khai Xuân Hội tụ: Liên minh các Hội Y tế và Công ty CP Ao Vua hướng về cội nguồn Tản Viên Sơn
28-02-2026 21:00 Hoạt động hội
[Ba Vì, ngày 28/02/2026] – Trong tiết trời xuân ấm áp và linh thiêng của vùng đất Ba Vì, một sự kiện gặp gỡ đầy ý nghĩa đã diễn ra, đánh dấu sự gắn kết bền chặt giữa các tổ chức xã hội - nghề nghiệp và doanh nghiệp vì sự nghiệp chăm sóc sức khỏe Nhân dân.
Hội Nam Y Việt Nam Khai xuân Bính Ngọ- Kỷ niệm 71 năm Ngày Thầy thuốc Việt Nam (27/2/1955- 27/2/2026)
27-02-2026 14:30 Hoạt động hội
Trong không khí hân hoan của những ngày đầu xuân Bính Ngọ 2026, Hội Nam Y Việt Nam đã long trọng tổ chức Buổi lễ Khai xuân và Kỷ niệm 71 năm Ngày Thầy thuốc Việt Nam (27/02/1955 – 27/02/2026). Đây là dịp để các thế hệ thầy thuốc nhìn lại chặng đường vẻ vang, đồng thời thắp sáng tinh thần “Nam dược trị Nam nhân”.
Lan tỏa tinh thần y đức và phát huy giá trị thuốc Nam
26-02-2026 20:06 Hoạt động hội
Nhân dịp kỷ niệm 71 năm Ngày Thầy thuốc Việt Nam (27/2/1955 – 27/2/2026) và khai Xuân năm Bính Ngọ, Chi hội Nam y Thái Nguyên đã long trọng tổ chức buổi gặp mặt đầu Xuân dành cho các hội viên là thầy thuốc, y sĩ, lương y và những người làm công tác chăm sóc sức khỏe cộng đồng, tại Văn phòng Chi hội.
Hội Nam Y Việt Nam và Công ty CP Tập đoàn Ao Vua trao tặng 300 suất quà tết tại Cẩm Thủy- Thanh Hóa
03-02-2026 19:00 Hoạt động hội
Sáng ngày 3/2/2026, tại trụ sở UBND xã Cẩm Thủy, tỉnh Thanh Hóa, Hội Nam Y Việt Nam phối hợp cùng Công ty CP Tập đoàn Ao Vua đã tổ chức chương trình trao tặng quà Tết cho các hộ gia đình có hoàn cảnh khó khăn và gia đình chính sách trên địa bàn.


